Maneely & Co

Weavers Lodge, 18 Loughview Road Coalisland, BT71 4LG

3 Bed Detached House with Building Site For Sale

Offers over £289,950

Print additional images & map (disable to save ink)

Photo 1 of Weavers Lodge, 18 Loughview Road, Coalisland

Telephone:

028 8772 7799

View Online:

www.maneely.com/1061387
Spectacular Fully Refurbished Living with Added Development Potential

Key Information

Address Weavers Lodge, 18 Loughview Road Coalisland, BT71 4LG
Price Offers over £289,950
Style Detached House with Building Site
Bedrooms 3
Receptions 2
Bathrooms 1
Heating Oil
Status For sale

Features

  • Fully refurbished throughout with stylish finishes
  • Spacious accommodation with detached garage and large gardens
  • Prime residential location close to local schools, shops and commuter routes
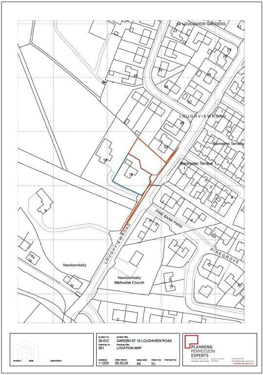
  • Outline planning permission pending and expected imminently for an additional detached dwelling with flexible purchase options

Additional Information

Situated in a highly desirable residential area on the edge of Coalisland, 18 Loughview Road offers the perfect blend of modern living and future potential. This beautifully refurbished home has been finished to an exceptional standard throughout, providing bright, spacious and stylish accommodation ready for immediate occupation. Benefiting from generous front, side and rear gardens, a detached garage, and the rare advantage of outline planning permission pending and expected imminently for an additional dwelling, this property presents an outstanding opportunity for families, investors or those seeking multi-generational living options. Conveniently located within easy reach of local schools, shops and commuter routes, it combines peaceful surroundings with everyday practicality.

Ground Floor Accommodation

Hall: 3.62m x 1.82m
Glazed PVC front door, laminate flooring, cornicing and ceiling rose.

Living Room 1: 3.56m x 3.21m
Herringbone laminate flooring, space for cast iron stove, cornicing.

Kitchen: 4.03m x 2.33m
Modern range of high and low level units with brand new integrated appliances including built-in fridge freezer, cooker, hob and extractor fan. 1.5 bowl stainless steel sink unit, splashback and slatted wall panelling, pantry with built-in shelving, spot lighting and herringbone laminate flooring.

Living Room 2: 3.07m x 4.35m
Feature built-in media wall with electric fire, space for TV, backlit shelving units, dual aspect windows, herringbone laminate flooring and cornicing.

WC: 1.33m x 1.81m
Close coupled WC, vanity wash hand basin, laminate flooring and space for washing machine.


First Floor Accommodation

Landing: 3.58m x 2.53m – at widest point
Large feature window, storage cupboard, hot press, cornicing.

Bedroom 1: 3.57m x 3.21m
Built-in storage cupboards, carpet flooring, cornicing.

Bedroom 2 3.06m x 4.35m
Dual aspect windows, carpet flooring, cornicing.

Bedroom 3: 2.66m x 2.38m – at widest point
Built-in storage cupboards, carpet flooring, cornicing.

Bathroom: 2.29m x 2.41m
Close coupled WC, vanity wash hand basin, panel bath with electric shower over, heated towel rail, backlit vanity mirror, herringbone laminate flooring, panelled walls and cornicing.


Outside

Detached Garage: 3.04m x 6.07m
Vehicular door and side pedestrian access.

Externally, the property benefits from an outdoor storage room, generous front, rear and side gardens with landscaped areas, a tarmac driveway and cast iron entrance gates.


A History of the House
Steeped in local history, this attractive home stands on lands leased in 1952 by George Rooston Beatty to the former Coalisland Weaving Company, a business he owned. The property is believed to have been built for a senior figure involved in the operation of the weaving works. As the textile industry was once central to Coalisland’s economy and community life, the home offers a rare opportunity to own a piece of the town’s proud industrial past.

Additional Information – Development Opportunity
Outline planning application is pending for a detached dwelling to the side of the property. Planning application with revised plans submitted to optimise the access layout and curtilage. Granted permission is expected imminently. This presents a fantastic opportunity for:

- Building a home for a family member
- Developing and selling separately
- Retaining a larger garden if preferred

Asking Prices:
- House only: £289,950
- Site only: £39,950
- House & site combined: £329,950

This is a superb opportunity to acquire a beautifully refurbished home with modern finishes throughout, coupled with excellent outdoor space and additional development potential.


------------------------------------------------------------------------------------------------------------------------

Thinking of Selling or Renting? 

FREE VALUATION!

If you are considering the sale or lease of your own property, we are delighted to offer a FREE SALES or RENTAL VALUATION, without obligation. Get in contact today and we will be happy to help & advise you!

(028) 8772 7799 |  info@maneely.com

-------------------------------------------------------------------------------------------------------------------------


MISREPRESENTATION CLAUSE
Maneely & Co Ltd gives notice to anyone who may read these particulars as follows. These particulars do not constitute any part of an offer or contract. Any intending purchasers or lessees must satisfy themselves by inspection or otherwise to the correctness of each of the statements contained in these particulars. We cannot guarantee the accuracy or description of any dimensions, texts or photos which also may be taken by a wide camera lens or enhanced by photo shop All dimensions are taken to the nearest 5 inches. Descriptions of the property are inevitably subjective, and the descriptions contained herein are given in good faith as an opinion and not by way of statement of fact. The heating system and electrical appliances have not been tested and we cannot offer any guarantees on their condition.

  • Maneely & Co Ltd

    Maneely & Co

    028 8772 7799

Photo Gallery

Photo 1 of Weavers Lodge, 18 Loughview Road, Coalisland Photo 2 of Weavers Lodge, 18 Loughview Road, Coalisland Photo 3 of Weavers Lodge, 18 Loughview Road, Coalisland Photo 4 of Weavers Lodge, 18 Loughview Road, Coalisland Photo 5 of Weavers Lodge, 18 Loughview Road, Coalisland Photo 6 of Weavers Lodge, 18 Loughview Road, Coalisland Photo 7 of Weavers Lodge, 18 Loughview Road, Coalisland Photo 8 of Weavers Lodge, 18 Loughview Road, Coalisland Photo 9 of Weavers Lodge, 18 Loughview Road, Coalisland Photo 10 of Weavers Lodge, 18 Loughview Road, Coalisland Photo 11 of Weavers Lodge, 18 Loughview Road, Coalisland Photo 12 of Weavers Lodge, 18 Loughview Road, Coalisland Photo 13 of Weavers Lodge, 18 Loughview Road, Coalisland Photo 14 of Weavers Lodge, 18 Loughview Road, Coalisland Photo 15 of Weavers Lodge, 18 Loughview Road, Coalisland Photo 16 of Weavers Lodge, 18 Loughview Road, Coalisland Photo 17 of Weavers Lodge, 18 Loughview Road, Coalisland Photo 18 of Weavers Lodge, 18 Loughview Road, Coalisland Photo 19 of Weavers Lodge, 18 Loughview Road, Coalisland Photo 20 of Weavers Lodge, 18 Loughview Road, Coalisland Photo 21 of Weavers Lodge, 18 Loughview Road, Coalisland Photo 22 of Weavers Lodge, 18 Loughview Road, Coalisland Photo 23 of Weavers Lodge, 18 Loughview Road, Coalisland Photo 24 of Weavers Lodge, 18 Loughview Road, Coalisland Photo 25 of Weavers Lodge, 18 Loughview Road, Coalisland Photo 26 of Weavers Lodge, 18 Loughview Road, Coalisland Photo 27 of Weavers Lodge, 18 Loughview Road, Coalisland Photo 28 of Weavers Lodge, 18 Loughview Road, Coalisland Photo 29 of Weavers Lodge, 18 Loughview Road, Coalisland Photo 30 of Weavers Lodge, 18 Loughview Road, Coalisland Photo 31 of Weavers Lodge, 18 Loughview Road, Coalisland Photo 32 of Weavers Lodge, 18 Loughview Road, Coalisland Photo 33 of Weavers Lodge, 18 Loughview Road, Coalisland Photo 34 of Weavers Lodge, 18 Loughview Road, Coalisland Photo 35 of Weavers Lodge, 18 Loughview Road, Coalisland Photo 36 of Weavers Lodge, 18 Loughview Road, Coalisland Photo 37 of Weavers Lodge, 18 Loughview Road, Coalisland Photo 38 of Weavers Lodge, 18 Loughview Road, Coalisland Photo 39 of Weavers Lodge, 18 Loughview Road, Coalisland Photo 40 of Weavers Lodge, 18 Loughview Road, Coalisland Photo 41 of Weavers Lodge, 18 Loughview Road, Coalisland Photo 42 of Weavers Lodge, 18 Loughview Road, Coalisland Photo 43 of Weavers Lodge, 18 Loughview Road, Coalisland Photo 44 of Weavers Lodge, 18 Loughview Road, Coalisland Floorplan 1 of Weavers Lodge, 18 Loughview Road, Coalisland Floorplan 2 of Weavers Lodge, 18 Loughview Road, Coalisland

Location

Visit www.maneely.com for further details.