Maneely & Co

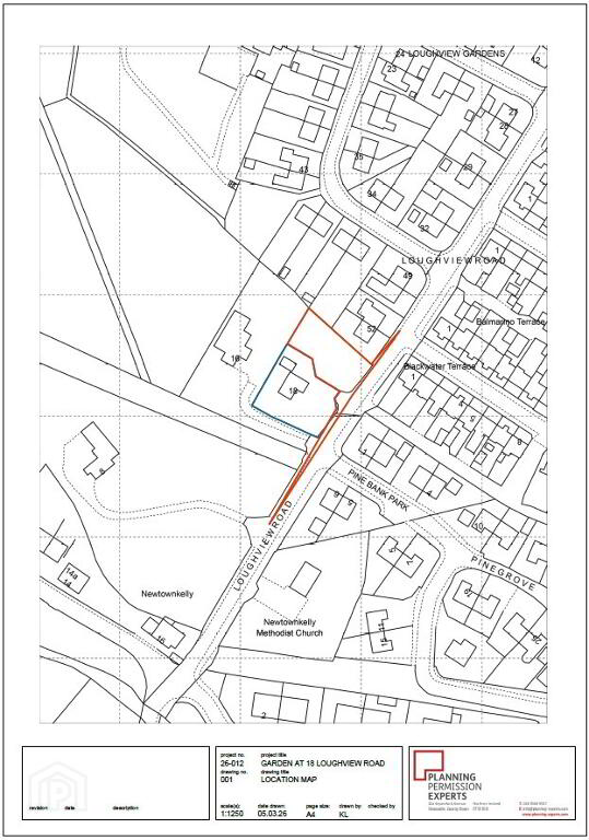
Adjacent To, 18 Loughview Road Coalisland, BT71 4LG

Building Plot (with OPP) For Sale

Offers over £39,950

Print additional images & map (disable to save ink)

Photo 1 of Adjacent To, 18 Loughview Road, Coalisland

Telephone:

028 8772 7799

View Online:

www.maneely.com/1061412
Build Your Future in a Prime Residential Setting

Key Information

Address Adjacent To, 18 Loughview Road Coalisland, BT71 4LG
Price Offers over £39,950
Land type Building Plot (with OPP)
Planning Outline Planning Permission
Status For sale
   

Features

  • Outline planning permission pending and expected imminently for a detached dwelling
  • Located within an established sought after residential area
  • Ideal opportunity for self-build or investment
  • Option to purchase house and site together

Additional Information

An excellent opportunity to acquire a prime residential building site in a highly sought-after area of Coalisland.

This spacious site has outline planning permission pedning with approval expected imminently for a detached dwelling, offering purchasers the chance to design and build a home tailored to their own specification. The site enjoys a convenient and established residential setting, close to local schools, shops and main commuter routes, making it ideal for families, developers or those seeking to build a bespoke home.

The plot is adjacent to 18 Loughview Road and offers generous proportions with strong development potential in a desirable location. Importantly, the adjoining fully refurbished dwelling at 18 Loughview Road is also available for purchase. Buyers may choose to acquire the site individually or secure both the house and site together, presenting an exceptional opportunity for multi-generational living or future development.

For further information or planning details, please contact us to discuss this exciting opportunity.


------------------------------------------------------------------------------------------------------------------------

Thinking of Selling or Renting? 

FREE VALUATION!

If you are considering the sale or lease of your own property, we are delighted to offer a FREE SALES or RENTAL VALUATION, without obligation. Get in contact today and we will be happy to help & advise you!

(028) 8772 7799 |  info@maneely.com

-------------------------------------------------------------------------------------------------------------------------


MISREPRESENTATION CLAUSE
Maneely & Co Ltd gives notice to anyone who may read these particulars as follows. These particulars do not constitute any part of an offer or contract. Any intending purchasers or lessees must satisfy themselves by inspection or otherwise to the correctness of each of the statements contained in these particulars. We cannot guarantee the accuracy or description of any dimensions, texts or photos which also may be taken by a wide camera lens or enhanced by photo shop All dimensions are taken to the nearest 5 inches. Descriptions of the property are inevitably subjective, and the descriptions contained herein are given in good faith as an opinion and not by way of statement of fact. The heating system and electrical appliances have not been tested and we cannot offer any guarantees on their condition.

  • Maneely & Co Ltd

    Maneely & Co

    028 8772 7799

Photo Gallery

Photo 1 of Adjacent To, 18 Loughview Road, Coalisland Photo 2 of Adjacent To, 18 Loughview Road, Coalisland Photo 3 of Adjacent To, 18 Loughview Road, Coalisland Photo 4 of Adjacent To, 18 Loughview Road, Coalisland Photo 5 of Adjacent To, 18 Loughview Road, Coalisland

Location

Visit www.maneely.com for further details.